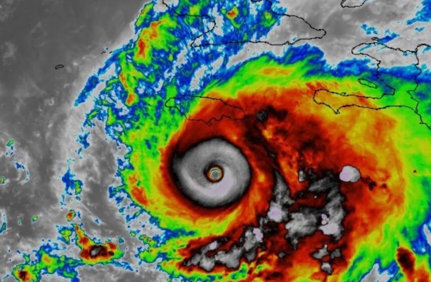
Wilayah Karibia bersiap menghadapi dampak buruk dari Badai Melissa, sebuah sistem badai kuat Kategori 4 yang telah memicu kekhawatiran di Jamaika, Haiti, dan Republik Dominika. Dengan kecepatan angin mencapai 225 kilometer per jam, Melissa diperkirakan akan membawa hujan ekstrem, banjir bandang, tanah longsor, dan gelombang badai yang mengancam jiwa. Pihak berwenang telah mengeluarkan peringatan darurat dan mendesak penduduk di daerah rawan untuk segera melakukan evakuasi sebagai langkah antisipasi terhadap kedatangan badai.
Badai Melissa menguat menjadi kategori 4 pada Minggu, 26 Oktober 2025, menandai ancaman serius bagi jutaan warga di kepulauan Karibia. Pusat Hurikan Nasional AS (NHC) telah mengeluarkan peringatan hurikan untuk Jamaika dan bagian selatan Hispaniola, yang meliputi Haiti dan Republik Dominika. NHC mengindikasikan bahwa kondisi hurikan dan gelombang badai yang merusak diperkirakan akan menghantam Jamaika pada Senin malam atau Selasa pagi waktu setempat, dengan potensi ancaman yang serupa juga membayangi Kuba dan Bahama dalam beberapa hari ke depan.
Salah satu aspek paling mengkhawatirkan dari Badai Melissa adalah pergerakannya yang lambat. Para meteorolog memperingatkan bahwa kecepatan pergerakan yang rendah ini akan memperpanjang waktu badai berada di atas suatu wilayah, sehingga meningkatkan akumulasi curah hujan yang ekstrem. Beberapa daerah di Jamaika dan selatan Hispaniola diperkirakan akan menerima curah hujan hingga 750 milimeter. \
