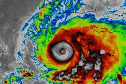
Karibia Menanti Badai Melissa Badai Kategori 4 Ancam Banjir Bandang dan Tanah Longsor
Wilayah Karibia bersiap menghadapi dampak buruk dari Badai Melissa, sebuah sistem badai…
Antusiasme Pasar Modal Tinggi 13 Calon Emiten Bersiap IPO
Bursa Efek Indonesia (BEI) mencatat setidaknya 13 perusahaan sedang dalam antrean untuk…
80 Tahun Cahaya Indonesia Memperingati Hari Listrik Nasional
Indonesia, pada tanggal 27 Oktober 2025, merayakan Hari Listrik Nasional (HLN) ke-80.…
Whitecaps Siap Bungkam Pengkritik di Playoff MLS
Vancouver Whitecaps FC memasuki babak playoff MLS Cup 2025 dengan misi besar:…
Brahim Diaz Menggila, Masa Depan Mastantuono di Real Madrid Dipertanyakan
Persaingan ketat memanas di sayap kanan Real Madrid menjelang El Clásico. Sorotan…
Duel Panas Bundesliga Leverkusen Tantang Freiburg di BayArena
Bayer Leverkusen akan menghadapi SC Freiburg dalam pertandingan Bundesliga yang dinanti-nantikan di…
Debut Premier League Sean Dyche: Sorotan pada Savona, Sangare, dan Jesus di Nottingham Forest
Nottingham Forest akan menghadapi tantangan berat di Premier League akhir pekan ini,…
Ernando Ari Tampil Gemilang, Gagalkan Gempuran PSBS dan Amankan Poin Persebaya
Kiper Persebaya Surabaya, Ernando Ari Sutaryadi, tampil sebagai pahlawan dalam laga Super…
Derby Lombardia Panas Cremonese Tantang Atalanta Demi Kebangkitan
Pertandingan sengit antara Cremonese dan Atalanta di Stadio Giovanni Zini, Cremona, pada…
